• İSTANBUL
  • İMSAK
    00:00
    GÜNEŞ
    00:00
    ÖĞLE
    00:00
    İKİNDİ
    00:00
    AKŞAM
    00:00
    YATSI
    00:00
  • 0.0
  • 0.0
  • 0.0
16
Yeniakit Publisher
Çok şaşıracaksınız! Kahvenin bu halini daha önce gördünüz mü?

2023-09-18 17:04:50
Çok şaşıracaksınız! Kahvenin bu halini daha önce gördünüz mü?

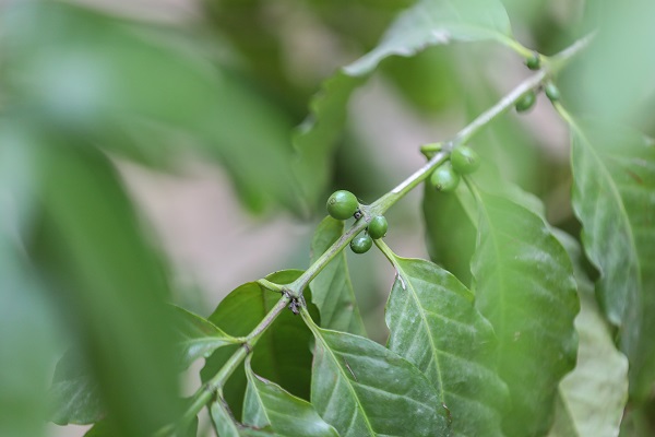
Kahve, tüm dünyada en çok tüketilen içeceklerden biri durumunda. Peki, kahvenin yetiştirilme aşamasındaki halini daha önce gördünüz mü?

#1
Foto - Çok şaşıracaksınız! Kahvenin bu halini daha önce gördünüz mü?

Mısır'da son yıllarda talebi ve fiyatında artış yaşanan kahve ekimine yöneldi. İsmailiye kentinde yaşayan Mısırlı çiftçi Ahmet el Hicavi'nin mango ağaçların gölgesinde ektiği Yemen kahvesi tohumları meyve vermeye başladı.

#2
Foto - Çok şaşıracaksınız! Kahvenin bu halini daha önce gördünüz mü?

#3
Foto - Çok şaşıracaksınız! Kahvenin bu halini daha önce gördünüz mü?

#4
Foto - Çok şaşıracaksınız! Kahvenin bu halini daha önce gördünüz mü?

#5
Foto - Çok şaşıracaksınız! Kahvenin bu halini daha önce gördünüz mü?

#6
Foto - Çok şaşıracaksınız! Kahvenin bu halini daha önce gördünüz mü?

#7
Foto - Çok şaşıracaksınız! Kahvenin bu halini daha önce gördünüz mü?

#8
Foto - Çok şaşıracaksınız! Kahvenin bu halini daha önce gördünüz mü?

#9
Foto - Çok şaşıracaksınız! Kahvenin bu halini daha önce gördünüz mü?

#10
Foto - Çok şaşıracaksınız! Kahvenin bu halini daha önce gördünüz mü?

#11
Foto - Çok şaşıracaksınız! Kahvenin bu halini daha önce gördünüz mü?

#12
Foto - Çok şaşıracaksınız! Kahvenin bu halini daha önce gördünüz mü?

#13
Foto - Çok şaşıracaksınız! Kahvenin bu halini daha önce gördünüz mü?

#14
Foto - Çok şaşıracaksınız! Kahvenin bu halini daha önce gördünüz mü?

#15
Foto - Çok şaşıracaksınız! Kahvenin bu halini daha önce gördünüz mü?

x

WhatsApp İhbar Hattı

+90 (553) 313 94 23