• İSTANBUL
  • İMSAK
    00:00
    GÜNEŞ
    00:00
    ÖĞLE
    00:00
    İKİNDİ
    00:00
    AKŞAM
    00:00
    YATSI
    00:00
  • 0.0
  • 0.0
  • 0.0
9
Yeniakit Publisher
Buzlar çözüldü balık bereketi başladı
2024-05-08 08:37:49

Buzlar çözüldü balık bereketi başladı

Zorlu geçen kış mevsiminin ardından Çıldır Gölü’nde buzlar çözüldü. Buzların çözülmesiyle birlikte balık avı mesaisi başladı.

#1
Foto - Buzlar çözüldü balık bereketi başladı

Ardahan’ın Çıldır Gölü'nün kışın buz tutan yüzeyinin tamamen çözülmesiyle balıkçıların sandalla balık avı mesaisi başladı. Gölden çekilen ağları dolduran balıklar, yüzleri güldürdü.

#2
Foto - Buzlar çözüldü balık bereketi başladı

Doğu Anadolu Bölgesi'nin, 124 kilometrekare alanıyla Van'dan sonra 2'nci büyük gölü olan Çıldır Gölü'nün kışın buz tutan yüzeyi, havaların ısınmasıyla çözüldü.

#3
Foto - Buzlar çözüldü balık bereketi başladı

Kışın 'bulak' adı verilen delikler açarak Eskimolar gibi balık avlayan balıkçılar, buzların erimesiyle sandallarıyla göle açılıp ilk ağları attı. Bir gün sonra çekilen ağlara takılan çok sayıda balık, yüzleri güldürdü.

#4
Foto - Buzlar çözüldü balık bereketi başladı

Çıldır Gölü'nde yaklaşık 10 yaşından itibaren balık avladığını söyleyen Atanur Dursun (50), sezona bereketli başladıklarını belirterek şöyle konuştu:

#5
Foto - Buzlar çözüldü balık bereketi başladı

"Baharın gelmesiyle beraber buzlar çözüldü. Kışın buzda av yapıyorduk, şimdi sandalla ava çıkıyoruz. Bereketli bir başlangıç yaptık, bu sezon balık sayısında artış var. 15 Mayıs'ta av yasağı başlayacak. Biz de o zamana kadar ekmek paramızı kazanacağız.

#6
Foto - Buzlar çözüldü balık bereketi başladı

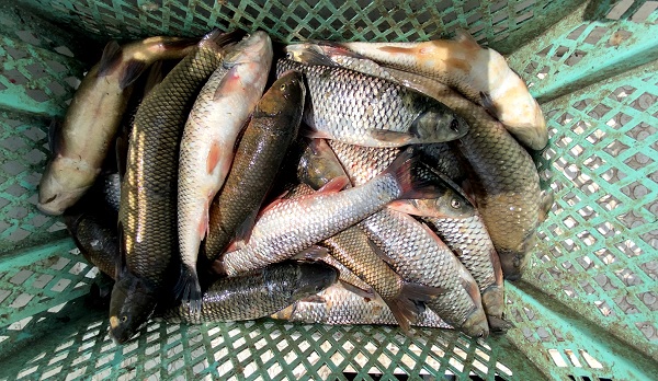
Günlük ortalama 20-25 kilogram balık avlıyoruz. Bu balıkları genellikle köylerimizde ve pazarda satıyoruz. Kefal, şafak türlerini 50 liradan, sarı sazan balığını ise 150 liradan satıyoruz.

#7
Foto - Buzlar çözüldü balık bereketi başladı

Gölde son yıllarda aşırı bir kirlenme var. Bunu göle attığımız ağlarda görebiliyoruz. Kirliliğe bağlı ileriki günlerde balık sayısında da düşüş olabilir."

#8
Foto - Buzlar çözüldü balık bereketi başladı

Haberle ilgili yorum yapmak için tıklayın.
x

WhatsApp İhbar Hattı

+90 (553) 313 94 23