• İSTANBUL
  • İMSAK
    00:00
    GÜNEŞ
    00:00
    ÖĞLE
    00:00
    İKİNDİ
    00:00
    AKŞAM
    00:00
    YATSI
    00:00
  • 0.0
  • 0.0
  • 0.0

T.C. OF ASLİYE HUKUK MAHKEMESİ

Yeniakit Publisher
Haber Merkezi Giriş Tarihi:

T.C. OF ASLİYE HUKUK MAHKEMESİ

İLAN

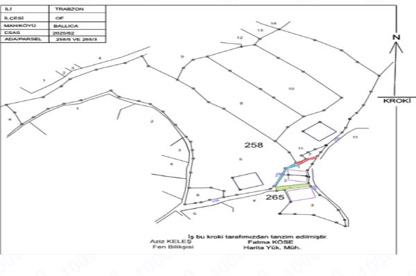
ESAS NO : 2025/62 Esas

Davacılar Emine Ersoy, Fatma Hacımurtazaoğlu, Gülşişe Albayrak, Hasan Albayrak, Hüseyin Albayrak, İsmail Albayrak, Nazmiye Yazıcı, Nurdan Albayrak, Zeynep Kolay tarafından mahkememize açılan tapu iptal tescil davasında Trabzon İli, Of İlçesi, Ballıca Merkez Mahalle Mahallesi 265 ada 2 parsel, 258 ada 5 parselde müşterek hisse sahibi oldukları, taşınmazlardan yol geçtiği, işbu sebeple kadastro tespitinin iptali ile davacılar adına tescilini talep etmiş ayrıca 265 ada 3 parsel ile 265 ada 2 parsel arasından geçmekte olan halen zeminde mevcut bulunan kadimden beri kurula gelen yolun keşifte gösterilecek sınırlarında isabet ettiği ilgili parsellerin yol olarak tescilini talep etmiştir. Mahallinde keşif yapılmış olup, bilirkişi raporunda dava konusu taşınmazlara ilişkin ekli krokide gözüken "Trabzon İli, Of İlçesi, Ballıca Merkez Mahalle Mahallesi 265 ada 2 parsel ve 258 ada 5 parsel numaralı taşınmazlara ilişkin kırmızı renkte taranarak gösterilen Al harfi (18,56 m2 ) patika yolun kapatılması halinde 258 ada 11 nolu parsele ilave edilmesi gerektiği, 258/115 2680,774 Al (18,56 m2 - 2699,33 m2, mavi renkte taranarak gösterilen A2 harfi (24,71 m2 ) patika yolun kapatılması halinde 258 ada 5 nolu parsele ilave edilmesi gerektiği, 58/5- 4990,06*4 A2 (24,71 m2) - 5014,77 m2yeşil renkte taranarak gösterilen B harfi (49,66 m2) patika yolun AÇILMASI halinde 65 ada 3 nolu parselden çıkarılması gerektiği. 65/3 573,10-B (49,66 m2 - 523,44 m2)." İşbu kısımlarda hak iddia edenler son ilan tarihinden itibaren 3 ay içerisinde Mahkememizin 2025/62 Esas sayılı dosyasına müracaat etmeleri gerekmekte olup, aksi halde dava konusu edilen taşınmazın davacılar Emine Ersoy, Fatma Hacımurtazaoğlu, Gülşişe Albayrak, Hasan Albayrak, Hüseyin Albayrak, İsmail Albayrak, Nazmiye Yazıcı, Nurdan Albayrak, Zeynep Kolay adlarına tapuya kayıt ve tesciline dair kararı verilebileceği ilan olunur.18/12/2025

#ilangovtr

Basın No: ILN02374000